The Stillwater City Council approves a new Discount Tire store at 1600 North Perkins Road, requiring an 8-foot masonry wall to address noise concerns from neighboring townhome residents.
The council unanimously approved a Specific Use Permit for the project during its Feb. 24 meeting, accepting the Planning Commission's recommendation that included the noise mitigation requirement.
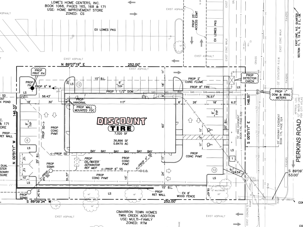
The new tire store will be constructed on a currently vacant portion of property that shares a lot with Lowe's Home Improvement. The site is located along the south boundary of the property, adjacent to Cimarron Townhomes.

Juan Vasquez, representing Vasquez Engineering on behalf of Halle Properties, LLC, explains that Discount Tire is a national chain with approximately 1,100 stores throughout the country, including about 20 in Oklahoma.
"All we do is tires and wheels," Vasquez says. "Everything is done in the building, nothing is done or stored outside."
The store will operate Monday through Friday from 8 a.m. to 6 p.m. and Saturdays from 8 a.m. to 5:30 p.m. It will be closed on Sundays.
Noise concerns for nearby townhomes
During the Planning Commission meeting on Jan. 28, Kenny Hallman, president of the Cimarron Townhomes homeowners association, expressed concerns about noise from the facility affecting residents who don't work normal business hours or who have young children.
"Residents that do not work normal business hours or who have young children are concerned about the noise," Hallman said at the Planning Commission meeting. "I am concerned with the doors facing them directly that the sound will definitely travel."
The Planning Commission addressed these concerns by recommending the 8-foot masonry wall as a condition of approval, which Vasquez confirmed the company would build.
"We can only control what we put up on our property, but they would be agreeable to replacing the 8-foot wood fence with an 8-foot masonry wall to mitigate noise," Vasquez told the Planning Commission. "We do this often for residential areas and it dampens the sounds."

The building will be constructed with masonry materials, which should also help reduce noise. However, the service bay doors will face the townhomes, as site constraints and Lowe's requirements prevented other configurations.
"We've been working on this layout for over a year, and this is the only way we can make it work for them and for Lowe's, as Lowe's has requirements of where they can lay out their site as well," Vasquez explained.
Vasquez notes that the business model is designed for quick service, with customers typically driving their own vehicles in and out of the bays.
"Since we just change tires, it is usually fast," Vasquez said.
The store will not have a separate curb cut from Perkins Road but will instead share access through the Lowe's parking lot. This arrangement is common for Discount Tire locations, according to Vasquez.
"Lowe's does this throughout the country, they'll offer pieces of property for sale for small restaurants or other uses. And so they approached Discount Tire," Vasquez said.
The Future Land Use Map within the city's Comprehensive Plan indicates that the desired land use for the subject property is commercial, making the tire store consistent with long-term planning goals.