Planning Commission, 5:30 p.m. Tuesday at City Hall
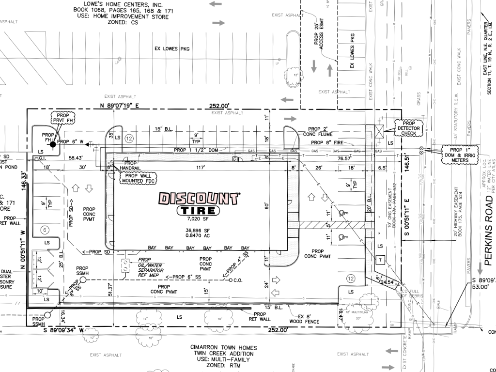
📄 Lowe’s Home Centers, LLC is requesting a special use permit for 1600 N. Perkins Rd. to allow vehicle and equipment sales in a Commercial Shopping District. Application documents show plans to build a 36,896 sqft building with six vehicle bays for Discount Tire on the empty land adjacent to the Lowe’s parking lot.
- Not to be confused with Direct Discount Tire located downtown at the corner of Main St. and 6th Avenue.
- Discount Tire has over a thousand locations across the country with the nearest in Edmond.
🛞 BIG TIRE: Discount Tire is one the largest independent tire retailers in the U.S. According to Forbes, Discount Tire was founded in 1960 and generated $9.7 billion revenue in 2024. It is also #55 on their list of America’s Top Private Companies.

Also on the Planning Commission agenda
📍 Stillwater Public Schools and Bank SNB are withdrawing their request for a map amendment to rezone various lots at 5021 N. Perkins Rd. to public.
Kathi Baab has filed a short term rental application for 137 S. Monticello Dr.
- An objection to the application was filed by Robin and Michael Anderson, who reside at 133 S. Monticello Dr. Their letter states that house parties are a problem in the area, and they have concerns for property maintenance.

📍 Stillwater Star West, LLC is requesting a map amendment for 5499 W. 6th Ave. to rezone the property from Commercial General to Two-Family/Multi-Family.
- If approved the rezoned property could be developed for residential housing that could compliment the duplex housing to the south.
👀 View the Planning Meeting Agenda for Jan. 28, 2025
📺 Watch the 5:30 Meeting live on YouTube