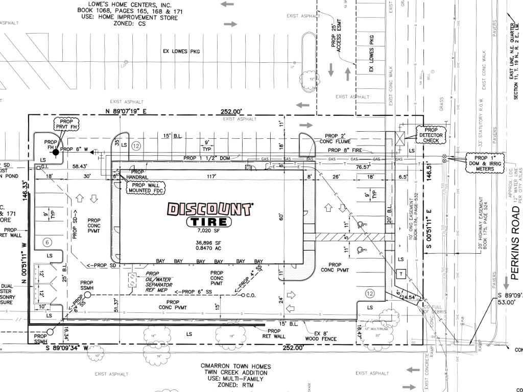
🚗 Lowe’s Home Centers and Halle Properties – who provide real estate management for Discount Tire – submitted a special use permit to Planning Commissioners at Tuesday’s meeting to allow vehicle and equipment sales and service in a Commercial Shopping zoning district at 1600 N. Perkins Rd.
- The preliminary site plan shows the tire retailer would be approximately 105 feet from nearby residential town homes.
Cimarron Townhomes homeowners association President Kenny Hallman told the Commission that residents were primarily concerned with the noise generated by impact wrenches and air compressors used in the service center. Commissioners echoed those concerns.

Representing the applicants, Vasquez Engineering President Juan Vasquez informed the Commission they are willing to replace the wood fence with an 8 foot masonry wall to help mitigate noise coming from inside the service center.
“You’ll probably hear something but you’ll hear the cars from Perkins road as well as the commotion in Lowes,” Vasquez saids. “Lowes closes at 9 or 10 o’clock every night and opens at 6 or 7 a.m.”
Vasquez also noted Discount Tire’s services are limited to tires and wheels and that their operating hours will be Monday through Friday 8 a.m. to 6 p.m. and Saturday 8 a.m. to 5 p.m., closed on Sunday.
“Discount Tire, if you don’t know, only does tires and wheels,” Vasquez said. “There’s no alignment, no battery, there’s no grease, there’s no lube … just tires and wheels … everything is conducted within the building. Nothing’s conducted outside, there are no tires stored outside, everything is stored inside.”

It is a common strategy for big box retailers to purchase more land than they initially intend to use so they have the option to sell portions to other businesses who value being near a well trafficked retail area.
“As you know Lowes, Home Depot, those large shopping centers typically buy large pieces of parcel, they put a large parking lot on it then after a while they go maybe we can carve out an acre for use and so you’ll see that throughout the country,” Vasquez said. “You’ll see quick service restaurants, small little retail located within a Home Depot or Lowe’s.”
Planning Commissioners voted 5-0 to recommend the permit to City Council with the condition that the 8 foot wall be included.
Short-term rental in Westwood district could potentially benefit the neighborhood
🏠 A short term rental application for 137 S. Monticello Dr. was also recommended to City Council by the Planning Commissioners with a 5-0 vote.
Property owner Kathi Baab wants to list the property on AirBnB as a short term rental with a two night minimum stay that would be target visitors for Oklahoma State University events.
“We’re not going to allow large parties, it’s going to be eight people or less staying there with quiet hours from 11 p.m. to 8 a.m., no pets, no smoking,” Baab said. “There’s enough room to comfortably park five large vehicles.”
According to Baab, the property will be locally managed, cleaned and believes they can maintain the property better as a short-term rental than as a traditional long-term rental.
Commissioners question access to proposed housing development through private parking lot
📍 Stillwater Star West is requesting a map amendment for the property located at 5499 W. 6th Ave. to be changed from Commercial General to Two-Family/Multi-Family zoning. The property is situated behind Pizza West, the VFW Post and O’Reilly Auto Parts.
Commission Chair Jana Phillips inquired about the property’s access, considering it lacks a public street connection to Highway 51/6th Avenue.
Aaron Ferguson with Bancroft Designs informed the Commission that an agreement with O’Reilly Auto Parts would provide a private access easement through their parking lot to the development.

Don Williams, representing the owner, shared their plans to add low-density duplex units. Williams also mentioned the Bourbon Street Square development that includes apartments which uses a private drive to access the highway.
“It’s kind of a common way to be able to access through another property to get to the property is to use the access easements,” Williams said. “They are typically designed to allow the entity that dedicates the access easement has a responsibility of maintaining it.”
Commissioner Riley Williams mentioned that O’Reilly’s would have agreed to a private access easement when they built the store. Ferguson further clarified that the private access easement would also be required if commercial development were to take place.
Phillips was conflicted between the future land use map designating the property as commercial and Stillwater’s urgent need for more entry-level homes.
The map amendment, which received a vote of 4 yes and 1 abstention, will be recommended to City Council.
👁️ Watch the recorded Planning Commission meeting on YouTube