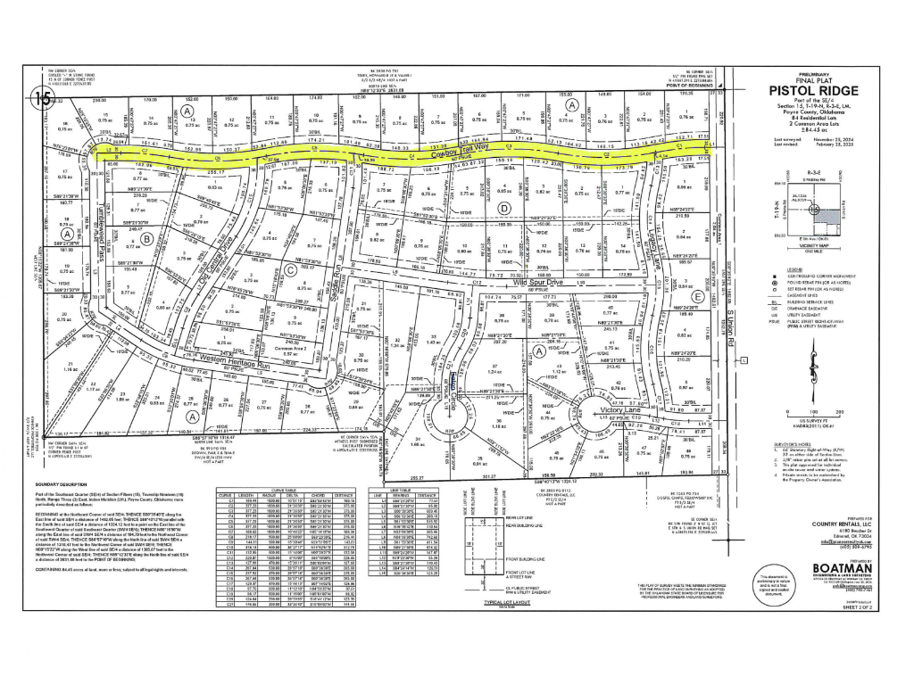
The Payne County Board of Commissioners expressed concerns about water supply and drainage issues for a proposed 84-lot housing development called Pistol Ridge, tabling approval of road names pending further information from the developer.
During Monday's meeting, Commissioner Zach Cavett raises questions about the development's impact on county infrastructure.
"I had reached out to Max [Myers] regarding what our authority is over these additions. My great concern with this edition and anyone like it is they said they've drilled some wells," Cavett said. "He was supposed to get me the gallons per minute those three wells produced. And he has not."
The development would include approximately 80 homes relying on well water, raising questions about whether the aquifer can adequately supply that many residences.
"I don't want to approve these names until I've gotten that information," Cavett explains. "I'd hate to see... if they're all reliant on well water, it's gonna have to be a pretty good aquifer to supply that many homes."

Commissioners also express concerns about drainage from the development onto county roads. Cavett notes that in another recent development, concrete curbing directs water runoff directly onto county roads.
"They've got concrete curb paving for over a quarter mile back into there. And it all slopes to the county road. So where's all the water going to go? To the county road," Cavett said.
He suggests the county should develop standards for road design to prevent water discharge issues.
"I may get with an engineer to have them kind of design... Even if they put a trough in the middle of the road," Cavett said, describing a solution implemented in Yale where developers "had to cut their concrete out and put a six-inch trough with some heavy-duty grit bar grading" to direct water into ditches rather than onto county roads.
Commissioner Rhonda Markum agrees, noting similar drainage problems in her district.
"I've got a huge mess down there at 32nd and Western because of all the drainage, the new housing additions. And when we get the good rains, it floods all that out and there's no place for it to go," Markum said.
The board votes unanimously to table the road name requests until more information is provided.
A message from Visit Stillwater

Shop, Dine, and Play in Stillwater this March! Whether you're racing down gravel roads, catching a Cowboy baseball game, or shopping for the perfect find, there’s something for everyone to enjoy. View March Events.
In other business, the board approves the purchase of a new 2025 Caterpillar 150 all-wheel drive road grader for District 3 at a cost of $440,255.
"This is mine. We're purchasing a 150. Max looked at this said it was good. I'm not financing it. I'm just paying outright cash," Markum explains before making a motion to accept the agreement.
The purchase agreement with Warren Cat includes a 60-month/5,000-hour premier warranty and a 60-month/5,000-hour total time maintenance customer service agreement.
The board also approves an Oklahoma Department of Transportation Form 324A for reimbursement of $850,000 for the Payne County Lake Access Project at Lake Carl Blackwell.
"This is the form I have to submit so I can get reimbursed," Markum said before making a motion to approve the form.
The board also approved several fire department pre-requisition requests, including:
- Cushing Fire Department: mini spotlight and shipping for $221,505
- Ingalls Fire Department: 80-gallon, 5-horsepower air compressor for $2,549
- Ingalls Fire Department: electrical work to wire the compressor for $1,825
- Glencoe Fire Department: drone for $4,000